الاقتصادية - الموقع الرسمي لأخبار الاقتصاد والأسواق | الاقتصادية

الاثنين, 20 أكتوبر 2025 | 27 رَبِيع الثَّانِي 1447
Logo
شركة الاتحاد التعاوني للتأمين11
(-0.45%) -0.05
مجموعة تداول السعودية القابضة206.7
(-0.63%) -1.30
الشركة التعاونية للتأمين133
(-1.85%) -2.50
شركة الخدمات التجارية العربية106
(2.02%) 2.10
شركة دراية المالية5.66
(-0.35%) -0.02
شركة اليمامة للحديد والصلب37.96
(-1.09%) -0.42
البنك العربي الوطني25.48
(0.63%) 0.16
شركة موبي الصناعية13
(-3.70%) -0.50
شركة البنى التحتية المستدامة القابضة37.1
(0.82%) 0.30
شركة إتحاد مصانع الأسلاك25
(-1.26%) -0.32
بنك البلاد29.34
(0.62%) 0.18
شركة أملاك العالمية للتمويل12.82
(-1.31%) -0.17
شركة المنجم للأغذية59
(-2.64%) -1.60
صندوق البلاد للأسهم الصينية12.18
(-1.62%) -0.20
الشركة السعودية للصناعات الأساسية61.9
(0.24%) 0.15
شركة سابك للمغذيات الزراعية124.8
(1.05%) 1.30
شركة الحمادي القابضة35.56
(1.66%) 0.58
شركة الوطنية للتأمين15.37
(-1.98%) -0.31
أرامكو السعودية25.16
(-0.55%) -0.14
شركة الأميانت العربية السعودية20.7
(-3.04%) -0.65
البنك الأهلي السعودي38.5
(-0.31%) -0.12
شركة ينبع الوطنية للبتروكيماويات35
(0.46%) 0.16

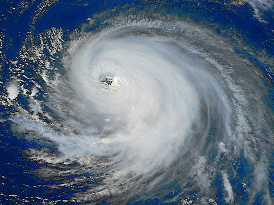
بات الإعصار فيونا وهو أول إعصار كبير في الموسم الحالي، يهدد جزر توركس وكايكوس بعدما أودى بخمسة أشخاص وتسبب بفيضانات وانقطاعات في التيار الكهربائي في منطقة الكاريبي.

ودعت سلطات هذه الجزر، وهي مقاطعة بريطانية من وراء البحار، كل السكان إلى ملازمة منازلهم، فيما تضرب رياح عاتية مصحوبة بأمطار غزيرة قد يصل مستواها إلى 20 سنتيمترا في بعض المناطق.

وحذر المركز الوطني للأعاصير، ومقره في ميامي في الولايات المتحدة، من احتمال حصول فيضانات أنهر مباغتة، مشيرا إلى أن هذه الظواهر الخطرة تستمر بتهديد جمهورية الدومينيكان أيضا.

ومع رياح تصل سرعتها إلى 185 كيلومترا في الساعة أحيانا، صنف فيونا في الفئة الثالثة على مقياس سافير-سمبسون ما يجعله "الإعصار الكبير الأول في موسم 2022 للأعاصير في المحيط الأطلسي"، بحسب المركز الوطني للأعاصير.

وتفيد التوقعات أن الإعصار قد يزداد قوة.

وتسبب الإعصار بمقتل شخص في جوادولوب بعدما جرف فيضان نهر منزله. وقضى شخصان في جمهورية الدومينيكان واثنان آخران في بورتوريكو.

وقال حاكم بورتوريكو بيدرو بيرلويزي: إن الإعصار خلف "أضرارا كارثية" في هذه المنطقة التابعة للسيادة الأمريكية.

وأوضح المركز الوطني للأعاصير، أن فيضانات مباغتة قد تحصل، رغم أن الأعصار بدأ يبتعد عن بورتوريكو.

وقد أعلنت حالة الطوارئ في بورتوريكو، فيما أبدى الحاكم نيته الطلب من الرئيس الأمريكي جو بايدن إعلان المنطقة منكوبة.

في جمهورية الدومينيكان، تتواصل الأمطار والفيضانات "في أماكن معينة" وفق المركز نفسه.

وقد غمرت المياه طرقا عدة أو أن أشجارا وأعمدة كهرباء سقطت عليها، ما أدى إلى تعطل حركة السير، في محيط منتجع بونتا كانا في شرق البلاد، حيث انقطع التيار الكهربائي، على ما أفاد صحافيون من "الفرنسية".

وأشارت السلطات إلى أن الأحوال الجوية أدت إلى تشريد أكثر من عشرة آلاف شخص. وحرم 400 ألف شخص من التيار الكهربائي و1.2 مليون نسمة من المياه.

في بورتوريكو، تسبب الإعصار فيونا بانزلاقات تربة وبسقوط أشجار وأعمدة كهرباء وإغلاق طرق وتدمير جسر.

وينتشر في الشوارع أثاث منازل وفرش ومقتنيات شخصية أخرى.

وقد حرمت كل مناطق بورتوريكو البالغ عدد سكانها أكثر من ثلاثة ملايين نسمة من التيار الكهربائي مع اقتراب الإعصار.

وعادت الكهرباء إلى نحو 300 ألف شخص فقط هم من زبائن شركة لوما للكهرباء، لكن الحاكم قال خلال مؤتمر صحافي: إنه يتوقع أن يعود التيار إلى "جزء كبير من الجزيرة".

ولا يزال نحو 700 ألف شخص من دون مياه عذبة، بحسب السلطات.

للإشتراك في النشرة
تعرف على أحدث الأخبار والتحليلات من الاقتصادية